
一個釣點要作釣多少次才能徹底摸清它的特性?為什麼今天某人去拉爽爽,明天我和老爹去就大烙賽?如果在場的大家都敲了個大龜就算了,為何還是有人拼了命拉魚,而我們總是在旁邊亁瞪眼的那位?釣點的選擇非得是滿佈消波塊,貌似大開大闔的地方不可?東北季風來臨,如何選擇一處不受限於天候風浪影響又能享受趣味的地方?趕快來看看這篇吧~

青鯤鯓的扇形鹽田屬於感潮鹽沼,是受到海平面和潮汐影響的潮汐平原。受到潮汐的作用,感潮鹽沼經常具有複雜的渠道網絡和不同鹽度、深度的土地,創造出多樣的生態系統提供不同的物種棲息,加上卸下曬鹽職責的青鯤鯓鹽田,其水閘門因乏人管理而鏽蝕無法完全開閉,致圈圍成一片汪洋水域,成為水族的樂園。

◎釣法與標的:圖中水門中間的3孔是流溝所在,藍色箭頭是流向,右邊是最佳釣座,左邊次之;作釣時持短竿,使用沉底釣組由外往水門內流入,水流越強,索餌越勁。
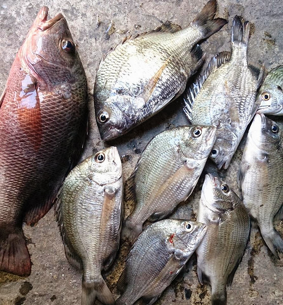
理論上,水流稍緩時,可藉由改變鉛重,甚至使用浮標來達到流入門內之目的。魚獲種類有臭肚、黑鯛、紅槽、豆仔魚、虎頭花身等等,體型不一而足,當然小魚還是多請放生~~


◎流向:也許大家心裡疑問,如果水流與圖中相反,為何不自橋的另一頭下竿,同樣流入門內?這樣當然也可以,只不過,魚訊將不若原本!!成因可能是水下的構造有異,套句釣蝦場的術語~“蝦(魚)”窟就是在那裡...
最後,再次提醒,想要有好收穫務必謹記流向,簡單的說就是只釣退潮,至於潮水流動的時間,大概是滿潮退後3小時開始流動。
本文同步刊登於facebook大咬海釣團




3 意見:
好棒的分享~ 再請問一下CCH大 這裡作釣是用甚麼比較適合 蝦仁還是活蝦好?? 謝謝!!
練餌即可
台湾辣妹视频聊天室 , 台湾辣妹视频聊天室 , 台湾辣妹视频聊天室 , 台湾辣妹视频聊天室 , 台湾辣妹视频聊天室 , 台湾辣妹视频聊天室 , 台湾辣妹视频聊天室 , 台湾辣妹视频聊天室 , 台湾辣妹视频聊天室 , 台湾辣妹视频聊天室
張貼留言
記得留言時可在"發表意見的身分"欄中,選擇並填上您的name(暱稱)/url(部落格網址)喔!!